Grillen, Schrecken oder Heupferde: Wer zirpt denn da?

Wenn Ruhe vom menschlichen Treiben im Nationalpark Garten einkehrt, dann kann man sie oft vielstimmig hören: Grillen, Schrecken und Heupferde sorgen für vielstimmige Konzerte und sind, anders als ihr Ruf es vermuten lässt, nützliche Helfer im Garten.

Musik mit vollem Körpereinsatz

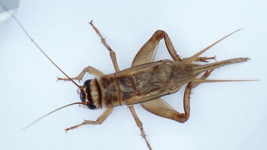
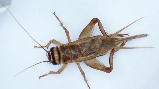
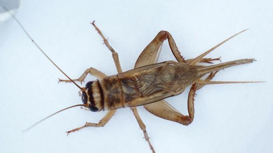
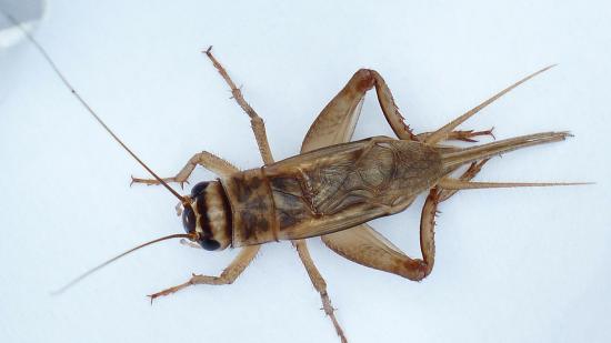
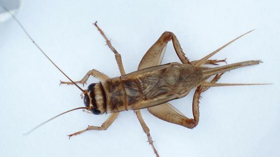
Grünes Heupferd

Wolfgang Dirscherl / pixelio.de

So richtig singen können die Heupferde und Grillen natürlich nicht, aber mit Hilfe ihrer Flügel und Beine bringen sie erstaunlich unterschiedliche Laute hervor: mal ratternd, mal schwirrend und manchmal auch recht melodiös, wie das Weinhähnchen. Diese Lauterzeugung wird Stridulation genannt. Wegen ihres zirpenden Gesangs waren Heuschrecken schon den alten Griechen heilig: Sie waren dem Gott Apollon geweiht und der wiederum war den Griechen als Erfinder der Musik heilig.

Heupferde und Grillen nutzen unterschiedliche Körperteile zur Lauterzeugung: Beine, Flügel und Körper werden als Musikinstrumente benutzt. Maulwurfsgrillen bauen sich zu ihren unterirdischen Höhlen auch noch richtige Schallverstärker, damit ihr Ruf noch lauter klingt und auch für fliegende Artgenossen gut vernehmbar ist.

Die meisten Heupferde haben allerdings bei aller Begeisterung nur wenig Variantenbreite bei ihrem „Gesang“. Die Feldgrillle allerdings ist ein besonders einfallsreicher Sänger: Das Männchen unterscheidet zwischen Werbegesängen, Revierabgrenzungsgesängen und Kampfgesängen.

Für viele Gartenbesitzer sind die sommerlichen Gesänge der Heupferde, Grillen und mancherorts auch Heimchen (meist ausgekommene Exemplare von Terrarienbesitzern) erst der richtige Auftakt zum Sommer.

Nützlinge im Naturgarten

Heupferde und Schrecken leben zumeist von anderen, kleineren Insekten. Viele von ihnen sind sogar echte Nützlinge und fressen mit Vorliebe Läuse, Käferlaven und kleine Heuschrecken. Wenn die Nahrung knapp wird, fressen sie auch weiche Pflanzenteile von Vogelmiere oder Löwenzahn. Wer Heupferde und Grillen in seinen Nationalpark Garten locken will, hat gute Karten, denn als umweltbewusster Gärtner oder Gärtnerin verzichtet man ohnehin bereits längst auf Gift im Garten und sorgt für einen vielfältigen Lebensraum mit zahlreichen auch heimischen Pflanzen. Mähen sollte man möglichst selten und das so spät wie möglich, um den Heupferden und Schrecken viel Lebensraum und umfangreiche Nahrungsressourcen zu bieten.

Die Grillen sorgen oftmals, wegen ihrer heimlichen und unterirdischen Lebensweise für Besorgnis unter den GärtnerInnen: Glänzend schwarz schauen sie manchmal aus ihren Wohnhöhlen die sie bevorzugt in sandigem Boden anlegen, und sind auch aufgrund ihrer Größe durchaus beeindruckend. Entgegen anders lautender Meinung sind sie in der Regel nicht gefährlich für den Garten, sondern fressen ebenfalls kleine Insekten und nur im Ausnahmefall Wurzeln und kleine unterirdische Triebe. Sie sind aber in vielen Gebieten Europas durch intensiven Gifteinsatz in der Landwirtschaft bereits vom Aussterben bedroht und sollten von den naturnahen GärtnerInnen geschützt werden.

Alle zusammen sorgen sie für den Natursound des Sommers und sollten uns ein paar wilde Ecken und ungemähte Flecken schon wert sein.

  • Maulwurfsgrille
    Maulwurfsgrille

    Maulwurfsgrille 

  • Feldgrille
    Feldgrille
  • Heimchen
    Heimchen

    Public Domain von pixabay.com

  • Heupferd
    Heupferd
  • Heuschrecke
    Heuschrecke